Tyson Foods is providing more than a million meals, ice and other supplies in response to Hurricane Laura impacting the Gulf region. Tyson Foods will coordinate...
Brandon Carr’s 1984 GMC 4×4 was destroyed by a falling utility pole Thursday. The truck was parked inside the fence at the family dealership on South...
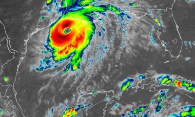
Hurricane Laura is responsible for four fatalities and a chemical fire posing a deadly threat to Louisiana residents. Louisiana Gov. John Bel Edwards provided the death...
The powerful winds from the edge of Hurricane Laura have already caused a tree to fall into a home on Bradford Drive, just off of Fisher...
The threat of bad weather associated with Hurricane Laura will continue throughout the day today. The National Weather in Jackson has issued a Tornado Watch for...
Hurricane Laura weakened to a Category 2 storm as it pushed inland in Louisiana Thursday, with 75 mph winds. Laura is expected to become a tropical...
WIND ADVISORY in effect from 7 a.m. CDT until 7 p.m. CDT. Source: U.S. National Weather Service * WHAT…Southeast winds 20 to 30 mph with gusts...
The Louisiana Department of Transportation and Development announced Wednesday that a portion of Interstate 10 is closed due to the imminent arrival of Hurricane Laura. I-10...
The U.S. Army Corps of Engineers Vicksburg District is providing material and technical assistance to communities across the Southeast in preparation for Hurricane Laura by mobilizing...
As of 7:15 a.m. Tuesday, Tropical Storm Laura became the fourth hurricane of this year’s hurricane season as she entered the warmer water of the Gulf...